
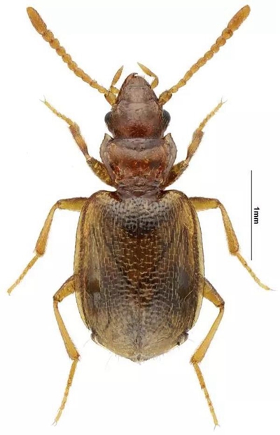
上海双斑粗角步甲
乍一看,这只小虫子并不起眼。它躲在阴暗潮湿的朽木中,全身披着褐黄色盔甲、约3毫米长的身体,和一只常见的蚂蚁差不多大。
就连科学家也差点忽视了它。当上海师范大学博士后彭中和恋野物语自然探索工作室联合创始人宋晓彬把这只小甲虫从一段树干中采集出来时,并没有意识到它是未知物种。
直到2017年12月,在仔细翻阅了大量文献并对小甲虫进行解剖比对后,研究者终于确认,它是“双斑粗角步甲”家族的一个新物种,是这个珍稀昆虫家族被确认的第26个成员,也是2017年第3个在上海市被发现的新物种。
每年,数以万计的新物种在世界各个角落被发现,但人类已知的生物种类仅为120~130万种,不到估计总数的五分之一。21世纪初,人类已知的昆虫有100多万种,仍有许多种类未被发现。
在进入实验室前,人类不知道这些能喷高温雾态物质的小虫有着独一无二的身份。直到它们被采集、制成标本,才被曝光在公众眼前,引发关注。
“在高度城市化的上海要发现一个新物种是比较困难的。”彭中感到兴奋,“值得我们庆幸的是上海生物样其实是较高的,有很多值得我们调查的物种。”
感受到威胁时,它能喷射接近60℃高温的雾态化学物质
最初发现这类小虫子时,彭中和宋晓彬并未觉得有什么特殊之处。
2016年9月底的一天,作为上海师范大学昆虫专家团队成员,彭中参与了上海市野生动植物保护管理站和滨江森林公园共同举办的“生物限时寻”活动。这是一项由科学家带领普通民众观察大自然的科普活动,旨在提升公众对自然的关注度。
活动进行到下午时,彭中在一段倒在河畔的枯木中发现了一群新奇的褐黄色小甲虫。它们在树皮、树干的缝隙间四散奔走,暴露在人类的目光中。
出于职业习惯,彭中与同伴小心翼翼地将枯木一点点分解开,用专业的采虫工具收集小虫。这些体型微小的甲虫与其他昆虫一起,被送到宋晓彬的工作室,接受分类、饲养和研究。
被带回的甲虫一共有200多头(头:昆虫学专业领域描述量词),鞘翅上分布着一对椭圆形黑斑,触角的末几节粗壮,具有“双斑粗角步甲”的普遍特征。
彭中迅速想起消失很久的“中华双斑粗角步甲”。这种昆虫曾出现在20世纪50年代的文献中,但描述模糊,也未在国内留下标本。“难道它们又重见天日了?”
为了能更好地研究这些新客人,宋晓彬从采集地点处专门收集了湿度较高的腐朽木头,还原采集地的原始生活环境,给小虫搭建了一个舒适的家。在经过3个月的观察后,他们发现小甲虫身上存在更多的“疑点”。
尽管这类昆虫的外观与半个多世纪前记录的中华双斑粗角步甲相似,但体型比中华双斑粗角步甲更小,平均体长3.12毫米,复眼更大。
最不同寻常的是,它有一套“绝密防身武器”——“放炮”。这一特征与民间熟知的“放屁虫”椿象类似,但打击更加精准。感受到威胁时,它能瞬间喷射出接近60℃高温的雾态化学物质袭击敌人,甚至能够改变这些气体喷射的方向。宋晓彬的手指就被它们灼伤过,在指尖留下一块2毫米左右的深红色印记。
解剖发现,这类小甲虫有特殊结构,既不属于中华双斑粗角步甲,也无法归类于任何一种人类已知的双斑粗角步甲种类。这意味着,它们也许是从未被人类认识的新物种。
“这类昆虫对环境的苛责度很高。在上海发现新物种是意义重大的。”彭中说。
哪怕只遗漏了一篇文献,都不能确定它的“新”
要给新发现的物种“上户口”,需要漫长的过程,其中的曲折往往不为普通人所知。
截至目前,仅在今年一年内,就有3种新昆虫物种在上海被确认。2017年3月,记述上海新物种“西郊公园毛角蚁甲”的学术论文正式刊登在国际动物学权威期刊Zootaxa(《动物阶元》)上。几个月后,一种体型更为娇小的新物种“天马华冥小葬甲”也在上海被发现。
每当发现新物种,总有一些评论让彭中哭笑不得,比如“全国都有,少见多怪”,或是“科学家不务正业”。
“自然是一本书,这本书要有目录,要靠分类学家对自然界事物进行归类和编号,给它们取名字,才能把这个目录做好。”做了多年分类学研究,彭中坚定地说,“科学严谨性并没有大众想的那么简单。”
250年前,瑞典生物分类学家卡尔·林奈设计分类法,此后每年约有1.5~1.8万个新物种被发现,其中几乎一半都是昆虫。林奈最先提出的界、门、纲、目、科、属、种物种分类法,至今仍被人们采用。
当一类新物种被发现后,需要对它进行专业的描述和命名。宋晓彬告诉中国青年报·中青在线记者,这一次确定“双斑粗角步甲”新种,从采集标本到最后论文发表,用了差不多1年的时间。
首先要做的,是确认它的“新”。在将新物种归类到某个基本类群后,研究者需要针对这一类群的所有条目进行检阅。此后,研究者将对收集的标本进行解剖,观察它们身上的细微结构,再结合文献比对以前所有被描述过的物种。
宋晓彬将它比喻成一个游戏。“就像玩‘大家来找茬’一样,寻找新物种和老物种的不同之处。只有发现足够多的不同之后,才能确定它是一个新物种。”
“就算遗漏了哪怕一篇文献,都会导致鉴定结果出现错误。”彭中说。
在穷尽资料的过程中,宋晓彬和彭中发现,跟这种“双斑粗角步甲”新种亲缘关系最近的两个物种标本,分别位于日本和菲律宾。为了比对这两个“近亲”的标本信息,宋晓彬专门向两地同行发送邮件申请。菲律宾的标本直接跨洋而来,被宋晓彬解剖。日本的同行为他专门拍摄标本照片,提供参考。
从初春到深秋,“双斑粗角步甲”新种的比对才陆续完成,在向Zookeys投递论文,经过同行评议认可通过后,彭中和宋晓彬才敢正式确认它是一种新物种。
确认最终的比对结果后,彭中既感到高兴,也有“小小的害怕”。“它们并不像蚊子、苍蝇一样,对环境的适应能力这么好。我害怕它刚被发现,一旦环境改变,又很快消失。”
了解身边有多少生物,才能知道我们会失去多少
一旦获得人类的命名,这种新种双斑粗角步甲就将以学术论文的形式登上国际权威期刊,并被录入动物学名录,从程序上真正成为被全球认可的昆虫新物种。
“现在就差临门一脚了。”在确认新种“双斑粗角步甲”后,宋晓彬和彭中认真为这位“新朋友”拟了几个名字,放到网上,接受网友投票。这只小虫的名字将从“上海双斑粗角步甲”“黄歇双斑粗角步甲”“滨江双斑粗角步甲”中诞生。
一直致力于科普工作的两位研究者认为这个决定意义重大。“拉丁学名是在全世界通用的,并且将永久地留用下去。”彭中有点激动, “这应该是中国分类学家第一次把一个新物种的命名权交给公众。”
在他看来,“了解身边有多少生物,才谈得上保护。”
2011年,加拿大达尔豪斯大学生物学教授鲍里斯·沃姆和美国夏威夷大学生态学家卡米罗·莫拉等共同在美国《公共科学图书馆-生物学》杂志上发表文章估算,在这个星球上的各种生物形式高达870万种。
如果使用传统方法对新物种进行识别和描述,需要30万名分类学家花费1200年,投入约3640亿美元,才能编纂出一部数据翔实、内容丰富的“自然百科全书”。
在彭中看来,发现新物种不是一个一蹴而就的问题,更是一件“功在当代,利在千秋”的事。
“每年都有许多新物种被发现,每个物种都非常独特,代表不同领域的意义。”彭中告诉中国青年报·中青在线记者。
对生物学家来说,许多新物种甚至在被登记之前就已经悄然消失。
“由于人类的活动,我们正在失去许多物种。但我们得知道到底有些什么物种,才能真正了解失去它们的程度。”生态学家卡米罗·莫拉曾忧心忡忡地向媒体表示。
1999年,中国科学院华南植物研究所研究员张奠湘在整理一批1974年的旧标本时,发现一种新种“中华白玉簪”,在此后的几十年中,人们都未能在野外重见它的真身。
2017年年初,研究人员在印度尼西亚苏门答腊岛的一个孤立的森林里发现了一种新的猩猩种,它们有一头飘逸的卷发和爱吃毛毛虫的嗜好。当被发现时,这种猩猩家族仅剩下不到800头成员,因为它们的栖息地受到大坝修建和道路施工的威胁。
在亚马逊原始森林,探险者平均每隔一天就会发现一种全新的动植物物种。然而根据世界野生动物基金和巴西环境组织联合发布的报告,由于栖息地被破坏,在科学家有机会研究这些物种之前,许多新发现的物种已经受到威胁或濒临灭绝。
对研究昆虫分类的彭中而言,昆虫的生存境况更令他担忧。“昆虫不像鸟或者哺乳动物。如果这片林子没了,鸟儿可以飞走,但是昆虫不行。昆虫可能一辈子都走不出一个花坛、一片树林,它的寿命就是这么长,花坛和树林对它来说就是全世界,或者整个星球。”
在12月19日下午举行的发布会上,给上海小甲虫命名的投票结果正式公布,它有了名字“上海双斑粗角步甲”。彭中希望通过公众参与命名的方式,让小小的昆虫能在它的原产地上海获得某种“归属感”,也唤起大众对生物多样性保护的热情。
“如果有一天你也看到一只会放炮的小虫子,你第一反应是踩死它,还是说‘咦,这有可能是那个新物种呢?’”