韩愈的嘲讽:公主您房产也太多了吧


12月14日,国家文物局在京召开“考古中国”重大项目重要进展工作会,通报河南洛阳正平坊遗址等3项重要考古成果。这一消息,让历史名人太平公主又进入了人们的视野。据通报,正平坊遗址内发现了疑似太平公主宅院、孔庙和国子监。其中,太平公主的宅院,比孔庙和国子监还豪横,居然占据了正平坊遗址的一半。
不过,豪横归豪横,对于热衷置办田产地产的太平公主来说,其实这也不算事儿。毕竟,当年她的那座位于长安城郊的庄园别墅,让见惯大场面的韩愈也惊呆了,并且回去后就来了一首酸溜溜的讽刺诗。只是,再权势熏天,到头来终归是空。
占地200亩的“豪宅”,还是一线“学区房”
里坊,或称里、坊,是我国古代城市的基层居住单位。里坊制度从北魏起日益完备,至隋唐长安城达到鼎盛。在城市结构上,里坊整齐划一,千百家似围棋局。在市民生活上,实行严格的“夜禁”制度,夜间坊门紧闭,坊外空无人行。
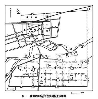
洛阳城全城以洛河为界划为南北两部分,宫城、皇城位于西北角,以东的洛北区东部和洛南区全部作为坊市区,《旧唐书·地理志》记载,洛阳共有“一百三坊,二市”。根据复原图,我们可以看出正平坊遗址位于洛南靠近中轴线的地方。遗址平面为长方形,南北长533.6米,东西宽464.6米。坊内由“丁”字形道路分隔为西半坊、东南区和东北区三部分。西半坊为一座大型宅院,宅院南半部推测为园林区,北部为庭院区。庭院为中轴对称布局,东西共三路,中路共五进。中轴线上至南向北分布五座大型夯土台基,并由墙(或廊)围合。
值得注意的是,这道围墙把正常的里坊道路十字街西街的道路也围了进去,围墙也宽于坊墙,围墙北部还超出了坊墙,侵占了坊间的道路。按照隋唐时期的里坊制度,这是不允许的。除非居住在这里的人是皇亲国戚,那或许能有例外。
除此之外,正平坊遗址出土了大量的莲花纹瓦当、筒瓦、板瓦、脊饰等建筑构件,以及青釉、白釉、黑釉的盏、盘、碗等生活用品。这些出土的建筑构件与隋唐洛阳城宫城区所见相同,工艺繁杂、纹饰精美,年代主要为唐代中晚期,也从一个方面证实坊内建筑的级别较高。种种考古发现,再结合文献记载,专家推测它是太平公主的宅院。
据估计,这座“豪宅”占地大约有200亩地。算上南部的园林区,占了整个里坊的一半面积。正平坊的东南区,还发现了一处大型院落群,被认为是当时的孔庙和国子监。这两处国家级的建筑,总面积加起来跟太平公主的“豪宅”庭院面积差不多。如果唐朝有学区房概念,这妥妥是一线学区加豪宅了。
唐朝时期,像长安、洛阳这样的大城市,可以说是寸土寸金。很多名人在长安城都没有房子,例如杜甫、白居易、韩愈等等。直到白居易50岁的时候,才终于在长安城买了一套房子。白居易晚年居住在洛阳东南角的履道坊,距离宫城和市都比较远,“居止稀少,惟园林滋茂耳”,是一个名副其实的宁静幽美的居住区。那么白居易的房子有多大呢?据《池上篇》记载,只有约合今13.4亩。和公主200亩的豪宅一比,只能说勉强遮身度日了。
长安郊区绵延四五十里的山庄,全部是她个人所有
洛阳城里,除了这座“豪宅”,太平公主还有一处住所,位于尚善坊。尚善坊紧邻洛水南岸,距离宫城极近,风景优美,交通便利,居住在这里的人非富即贵。坊内不仅有太史监、崇贤馆、宗正寺、内仆局等官方衙署,还有安乐公主、武三思、岐王等人的住宅。大诗人杜甫所写的《江南逢李龟年》中所提到的“岐王宅”,就是这里。
母亲武则天死后,太平公主便长期居住在长安。她在长安至少有三处宅院,分别位于兴道坊、兴宁坊和醴泉坊。不过,在她所有的房产中,最有名的还要数位于长安郊区的山庄。
唐宪宗元和八年(813年)春,太平公主去世已百年。一日,大诗人韩愈闲来无事,跑去太平公主山庄旧址游玩。山庄从万年县(今陕西西安南部)南八里的乐游原,直通到县南五十里的终南山脚下,绵延四五十里的山庄,全部是她个人所有,真大别墅无疑了。先天二年(713年),太平公主企图控制政权,谋杀李隆基,失败后逃入终南山,后被赐死,其山庄由朝廷分赐予宁、申、岐、薛四王。
虽然早已物非人也非,韩愈还是有颇多感慨,回来后写了一首“游记”——《游太平公主山庄》:“公主当年欲占春,故将台榭压城闉。欲知前面花多少,直到南山不属人。”就连见过大世面的韩愈都惊叹,公主的房产实在太多了,好像把整个春天都霸占了去。站在亭台楼阁里,连城门外的曲城都被压了下去。走路许久,抬头远望,前方居然还有万千花朵树木,一直到终南山都还属她名下。
对于太平公主的家世背景,《旧唐书》如此评价道: “二十余年,天下独有太平一公主,父为帝,母为后,夫为亲王,子为郡王,贵盛无比。” 其实,她还有两个哥哥和一个侄子都是皇帝。据《资治通鉴》卷二百四记载:“(太平)公主方额广颐,多谋略,太后以为类己,宠爱特厚……食邑独累加至三千户。”唐朝的惯例,亲王的食邑不过千户,公主的正常食邑是三百五十户,而武则天给太平公主的待遇接近原标准的十倍。到唐睿宗景云初年,更是“加太平公主实封满万户”,这在唐朝历史上前所未有。按照唐太宗所定的爵制九等,“一等为王,食邑万户,正一品”,太平公主实际上是王的待遇。
唐开耀元年(681年)七月,高宗夫妇为太平公主举行了盛大而隆重的婚礼,婚礼礼堂设在万年县的县衙。但婚车实在太庞大太豪华了,县衙的大门根本进不去。怎么办?误了公主大婚的时辰可不得了。于是,皇帝夫妇化身拆迁队,一纸令下:拆墙!唐朝的风俗,婚礼都在晚上举行,可是当时的街道还没有路灯这种设备,大队人马只能手持火炬上路。从长安城最东北的大明宫(兴安门)出来,一直到城东南的万年县衙,一路上火炬点成了一条长龙,把路边的槐树都给烤焦了。
查抄公主宅,监察官员清点了好几年
太平公主在武则天、唐中宗、唐睿宗三朝都握有大权,尤其是到了唐睿宗时,因为灭韦氏有功,睿宗对这位姐姐极其敬重,军国大事都让宰相到她府中询问建议,以至于朝廷七个宰相,其中“四出其门”。
唐初国力逐渐强盛,皇亲国戚和握有大权的内外官员纷纷建造豪宅美第,成为风气。唐初元勋郭子仪的宅院位于亲仁里,占了整个里坊四分之一的面积。而长安城一里坊的面积要比洛阳城大不少,所以算下来郭子仪的宅院比太平公主豪宅更大。三千人的大家族出出进进,彼此互相不认识,其壮观可想而知。武后从父姊之子宗楚客的新宅,豪华到什么程度呢?据说用文柏做房梁,用沉香加入墙壁,一开门香气扑鼻。宅子里用抛光的大理石做地坪,穿着靴子走在上面很容易滑倒。宗楚客获罪流放后,太平公主到他的宅第观看,叹息说:“观其行坐处,我等虚生浪死!”
这话既有羡慕,又有感慨。也许是受到刺激,此后,她在争权夺势和置办房产的路上一去不复返了,直到和宗楚客一样,落得家破人亡的下场。
太平公主在还没有太大实力的时候,就已经“崇饰邸第”,也就是崇尚豪华装修的府邸。等有了势力之后,更是大肆置办田产。据《旧唐书·公主传》记载:“(太平公主)田园遍于近甸膏腴,而市易造作器物,吴、蜀、岭南供送,相属于路……”她的田园数量不仅多而且都是好地段,同时,她还很喜欢收集奢侈的器物古董,远至岭南、巴蜀等地的人,近至朝中文武百官,竞相向她进献稀奇玩意。
因为太平公主的势力庞大,已经威胁到了皇帝的权威,所以在唐玄宗登基后的第二年便赐死了她。她的住所被查抄时,人们发现家里的金银堆积如山,奇珍异宝可媲美皇宫。牧场里的马、羊之类的牲畜以及庄田菜园里的租金、利息,让一大帮监察官员们忙了好几年还没有清点完,“收之数年不尽”。
随后,这座位于正平坊的豪宅被唐玄宗改造成了安国女道士观。之所以改成了道观,与唐朝建立初期追封老子为先祖,并在国家层面推崇道教有很大关系。除此之外,太平公主早年还曾代母出家当过道士(实际还是居住在宫中),当时她才八岁,恰逢武则天的母亲杨夫人(荣国夫人)去世,当时民间有种说法,说是如果子女出家可以为逝去的双亲祈福。后来有吐蕃使者前来求婚,并且点名求娶太平公主。唐高宗不忍心将最宠爱的女儿远嫁,也不能直接拒绝吐蕃,所以干脆建了太平观让她入住,从而借口太平公主已经出家来避免和亲。
关于安国观的前身,《唐两京城坊考》曰:“安国女道士观,本太平公主宅。”《唐语林》介绍了安国观的概貌:“政(正)平坊安国观,明皇时玉真公主所建……殿南有精思院,琢玉为天尊、老君之像……院南池引御池水注之,叠石像蓬莱、方丈、瀛洲三山。女冠多上阳宫人。”玉真公主又名九仙公主,是唐玄宗的胞妹,在年轻时做了女道士。
“贵盛无比”的太平公主妄图复制她母亲的老路,却以家财散尽、赐死家中草草收场,正如一句流行语所说:出来混,迟早是要还的。









